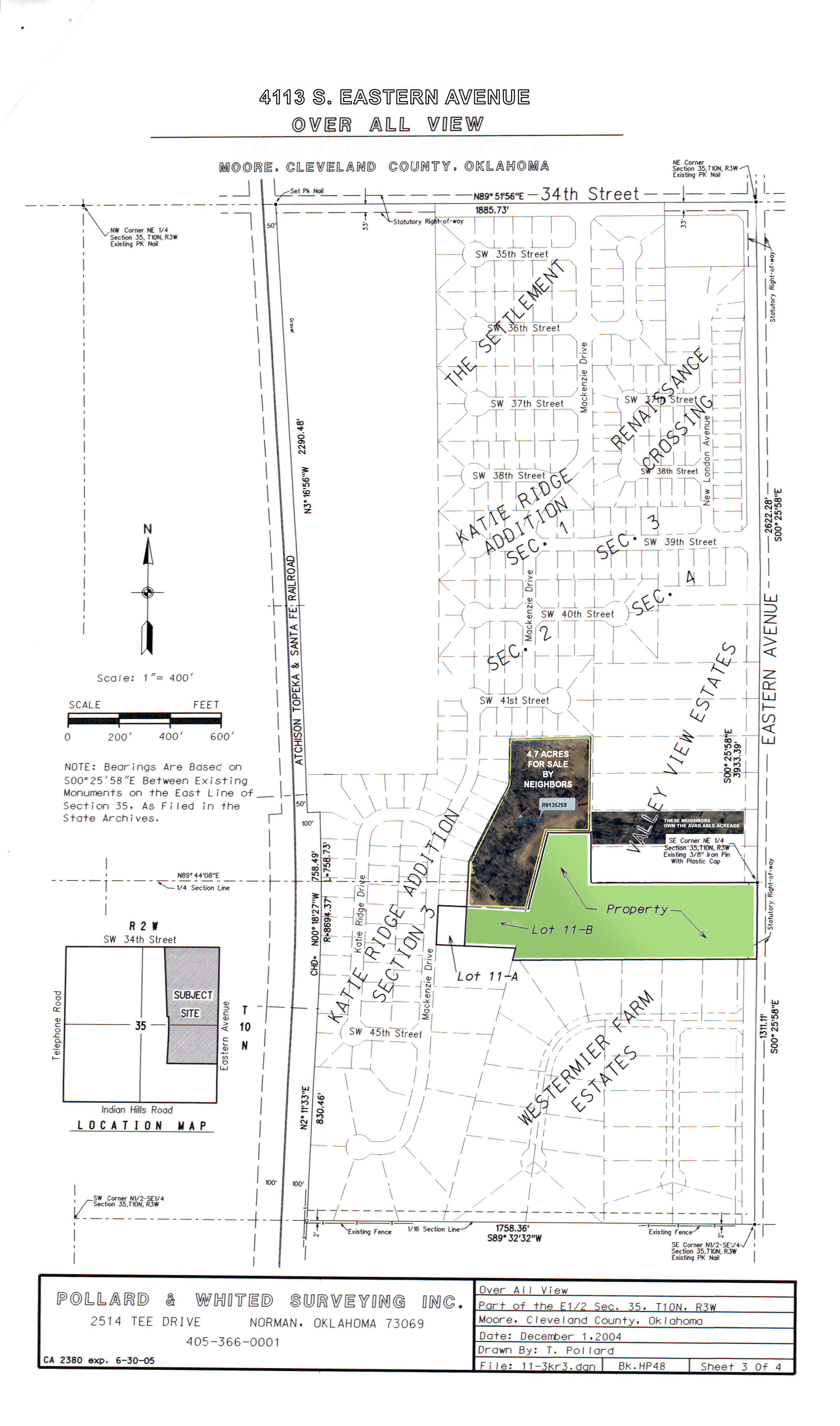
4113 LAND OVERVIEW

PROPERTY OVERVIEW

A bird’s eye view of the property and the adjacent land available from neighbors.